Für heute hatten wir über unser Hotel eine Schnorcheltour (17€ p.P.) gebucht. Eigentlich machte man die zu viert, aber es hatte sich wohl niemand weiter aus unserem Hotel gemeldet, also war es eine private Tour. Wir fuhren vier Spots zwischen der vorgelagerten Inselgruppe (Secret Gilis) an und der Trip dauerte ca. 6,5 Stunden. Es ging um 9 Uhr vom Strand unseres Hotels los, morgens ist Flut und das Wasser steht bis zum Strand.
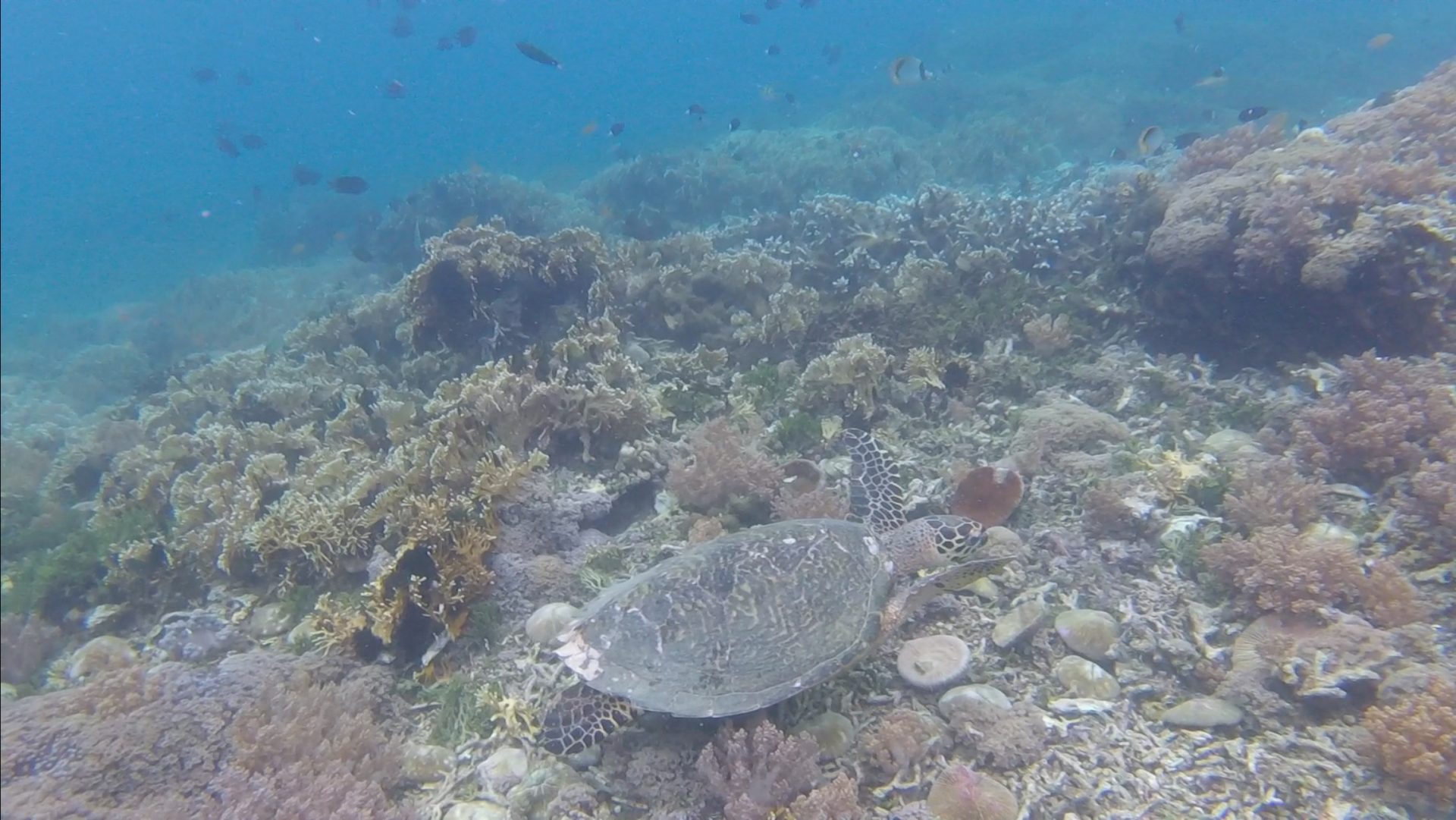
Am ersten Spot (vor Gili Anyaran) gab es Korallen und viele bunte Fische. Allerdings auch viele winzige Quallen, die einen einige Male ziemlich gezwickt haben. Das Wasser war auch recht kühl, also nicht so badewannenwarm wie wir bisher kannten. Am zweiten Spot (vor Gili Gede) gab es noch einen kleinen Bereich mit blauen Korallen, der Rest ist leider schon abgestorben. Das sah ziemlich cool aus, blaue Korallen hatten wir noch nie gesehen. Beim dritten Spot (vor Gili Rengit) hatten wir Glück und konnten eine große Meeresschildkröte beobachten. Außerdem konnten wir dort Clownfische in den Anemonen entdecken. Beim letzten Spot (vor Gili Goleng) haben wir zum ersten Mal Seepferdchen gesehen. Sie waren sehr schwer zu finden, weil sie gut getarnt waren zwischen dem Gras, aber unser Bootsführer war mit im Wasser und hat zwei gefunden und uns gezeigt. Außerdem waren dort viele Seesterne im Sand.
Als letztes ging es zur Gili Asahan, wo wir bei einem Italiener Mittag aßen. Es war den ganzen Tag bewölkt, aber hier kam endlich die Sonne raus. Wir liefen noch ein kurzes Stück am Strand entlang und dann ging die lange Fahrt zurück ins Hotel, wo wir gegen 15:30 Uhr ankamen. Da jetzt Ebbe war, mussten wir vom Boot ein gutes Stück durch die Korallen bis zum Strand laufen. Nach der Dusche verbrachten wir einen entspannten Abend im Hotel.









Looking for some chill time? em777casino ain’t bad. Try it out and see if it your lucky place! See if it your type here: em777casino